鶯歌透天拍賣
07-7963288
客服電話
申請房仲網站
首頁
房屋租售
土地租售
法拍屋資訊
廠房租售
房仲
大樓社區
委託買賣
關鍵字
現在位置:
首頁
›
法拍屋資訊
›
新北法拍透天
›
鶯歌法拍透天
›
鶯歌透天拍賣-新北市鶯歌區香賓街3巷13號2層樓
最後更新:3小時內
檢舉物件不實
│
列印
│
物件留言
|
觀看地圖
鶯歌透天拍賣
鶯歌透天拍賣
房屋基本資料
案名
近鳳鳴重劃區【國際新城】香賓大地坪透天
案號
114職二359金 114/12/17(三)10:30流標
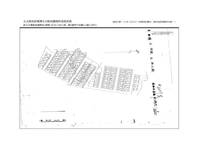
地址
新北市鶯歌區
香賓街3巷13號2層樓
社區/大樓
鶯歌-國際新城
銷售狀態
議價中
售價
售1516萬
房屋類型
法拍透天
總登記坪數
43.11 坪
格局
屋齡
45年
每坪單價
35.17萬/坪
公設比
車位
沒有車位
座向
無障礙環境
沒有
法拍屋
本物件是法拍屋
拍次 : 第一拍 不點交
開標日期 : 2025/12/17(三)10:30流標
建物所在樓層
1-2樓/共2樓
管理費
管委會
沒有
中庭
沒有
電梯
沒有
是否為凶宅
300公尺內嫌惡設施
面前道路
面寬
縱深
邊間
房屋銷售來源
不動產經紀人/專業仲介
房屋特色
【法院筆錄內容】
1‧本件拍賣房屋經法院於114年8月22日到現場執行,第三人鄭○義在場稱其係債務人弟弟,房屋由其無償借住,房屋後方有增建,樓梯有滲水,頂樓女兒牆部分倒塌,無海砂屋、輻射屋、地震受創、火災受損、建物內有非自然死亡或其他足以影響交易之特殊情事。因第三人非對其在查封前無權占有不爭執,拍定後不點交。
2‧另2772建號即房屋後方增建部分,因未辦保存登記,拍定人不得持權利移轉證書辦理保存登記。另依新北市政府違章建築拆除大隊114年9月5日新北拆認一字第1143272982號函所示,上開增建尚無違章建築認定紀錄。買受人應自行負擔拆除可能,請應買人注意。
【保證金】
304萬
【拍賣履歴】
一拍2025/12/17流標底標價格1516萬
二拍底標價格1212.8萬
三拍底標價格970.24萬
四拍底標價格776.19萬
【焦點法拍履歴】
👩🏻⚖️從業二十年以上經驗|競競業業|正派經營
🎯投標準備⇥法拍流程說明|標單填寫|案件現場勘查有無特殊情事|成本評估分析
💰銀行貸款⇥法拍物件估價|投標人財力評估|銀行代墊款協助辦理|最高八成
🏡拍定得標⇥強制執行書狀、履勘陳報書狀往返|債務人搬遷協商|遺留物造冊查估
🎁委託代標⇥免費|委託代標未得標⇥免費
🏢鑫創資產管理有限公司
顏麗杏0911-965339營業員證號:(101)登字第212862號
連真甄0909-031993營業員證號:(101)登字第192002號
更多物件☞焦點法拍
經紀人李彥槿:109北市經證字第02110號
坪數說明
建物登記總坪數
43.11
土地登記總坪數
32.69
主建物坪數
34.98
停車位坪數
附屬建物坪數
8.13
公共設施坪數
增建坪數
3.18
地下室坪數
周邊環境
生活機能
鄰近交通
鄰近地標
公園綠地
鄰近學區
捷運站
房屋聯絡人資訊
聯絡人姓名
小顏
(煩請告知聯絡人,您是在House-Info房屋網看到這則廣告,真摯感恩您的幫忙)
手機
0911-965-339
電子信箱
Skype通話
Line加入好友
所屬公司名稱
鑫創資產管理有限公司
公司電話
公司傳真
公司地址
新北市新莊區中環路二段423號一樓
網 址
http://www.1314home.tw
贊助商廣告
新北鶯歌拍賣透天-1
新北鶯歌拍賣透天-2
新北鶯歌拍賣透天-3
新北鶯歌拍賣透天-4
新北鶯歌拍賣透天-5
新北鶯歌拍賣透天-6
新北鶯歌拍賣透天-7
觀看地圖
到Google查看地圖
到Google查看街景
鶯歌透天拍賣-新北市鶯歌區香賓街3巷13號2層樓-透天
物件留言
請注意,如果您詢問的內容與物件不相符合或是廣告,經過審核,系統將會直接刪除您的發問內容
檢舉物件不實
黃金曝光
安祥路109巷11
透天_別墅
174.03坪
3588萬
中正路二段287號
透天_行修宮商活圈 / 3房
59.74坪
744萬
八勢路一段174號
透天_法拍透天
93.72坪
1544萬
相似物件
香賓街3巷13號2
透天_法拍透天
43.11坪
售1516萬
香賓街3巷13號
透天
46.26坪
售1516萬
大湖路361巷24
透天
28.48坪
售1502萬
八勢路一段174號
透天
93.72坪
售1544萬
www.house-info.idv.tw房屋網
免責聲明:本系統為租用式開放房屋買賣網站建置平台,僅提供會員查詢-
鶯歌透天拍賣
-等房屋資訊參考,並不涉入任何諮詢、交易。 物件(服務)聯絡人公佈的資訊、文字、照片、圖形、產權、廣告內容、或其他資料若有不實或違法情事,或與客戶聯絡交易過程中若衍生民事或刑事等法律問題,皆與本房屋網站無關,所有商標、文章、名稱等版權,皆歸屬原著作者所有! ●電話:07-7963288
新北法拍華廈
│
新北法拍電梯大廈
│
新北法拍電梯大樓
│
新北法拍大樓
│
新北法拍大廈
│
新北法拍電梯華廈
│
新北法拍透天別墅
│
新北法拍透天厝
│
新北法拍公寓
│
新北法拍店面
│
新北法拍套房
│
新北法拍廠房
│
新北法拍辦公室
│
新北法拍豪宅
│
新北法拍樓中樓
│
新北法拍農舍
│
新北法拍廠辦
│
新北法拍雅房
│
新北法拍倉庫
│
新北法拍工業廠房
│
新北法拍透天
│
新北法拍中古屋
│
新北法拍別墅
│
新北法拍電梯別墅
│
新北法拍透天店面
│
新北法拍屋
│
新北法拍房屋
│
新北法拍房子
請注意:此案件已下架
資料處理中,請稍後...